
Hot Springs, SD
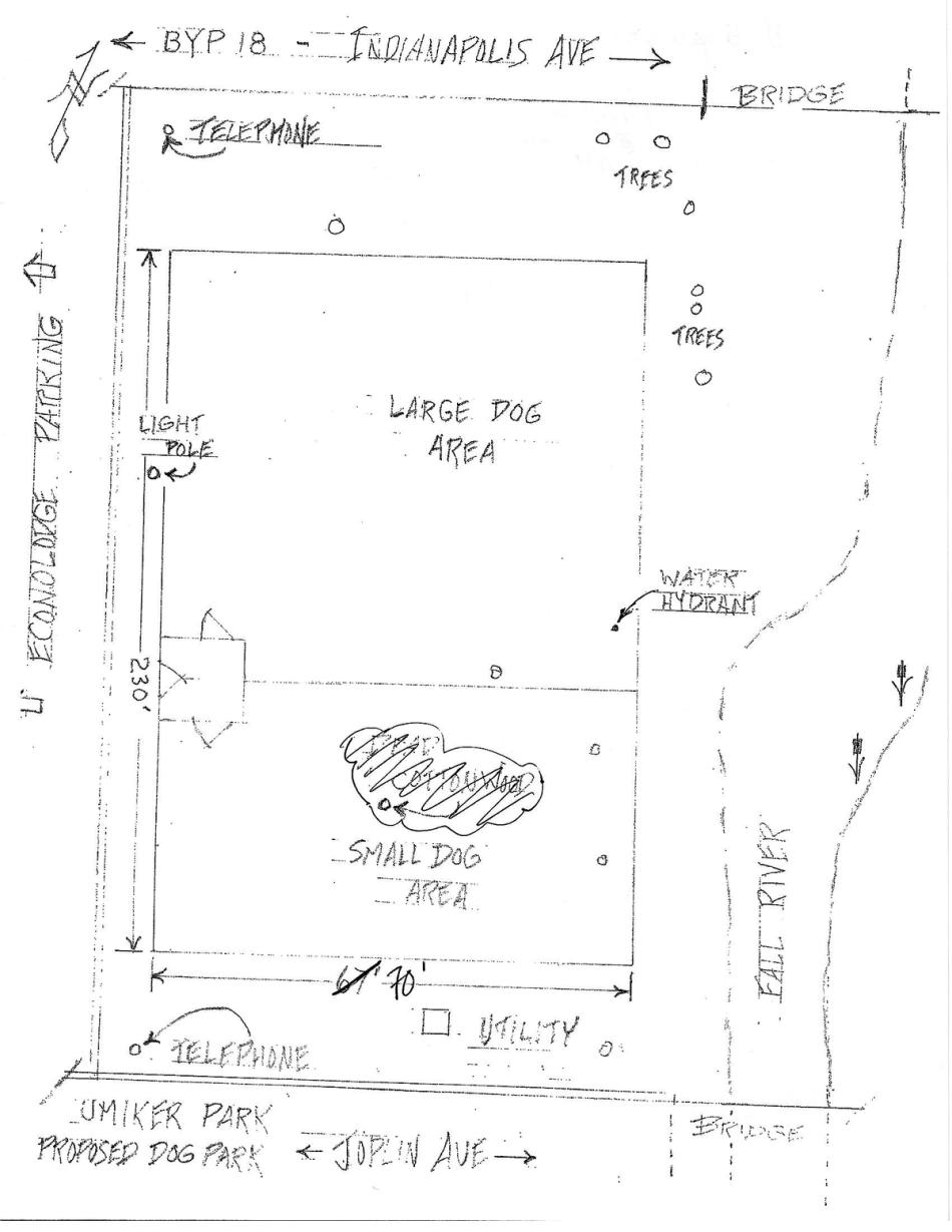
Location of proposed dog park:
Highway 18 (Indianapolis Ave) and Joplin Avenue, connecting with Highway 385
Hot Springs, SD 57747
About this community:
Located in the Black Hills of South Dakota, Hot Springs, the “Veterans’ town,” is recognized as a national historic destination. Founded in the 1800s and known for healing waters, railways brought east coast folks to vacation to bask in warm spring bathhouses. In 1905, the Veteran’s Hospital campus was constructed, serving Veterans from 5 states, and winning awards for the sandstone architecture. Fall River runs through this pretty community, situated an hour south of Rapid City.
Why this community deserves a Bark for Your Park™ grant:
The City of Hot Springs has donated Umiker Park for the site of an off-leash, handicap-accessible dog park due to community interest and support. Conveniently located at the junction of SD State Highway 18 and Highway 385, Hot Springs is a gateway on the route of east-west cross-country travelers. Local hotels have no place to send guests with dogs; local dogs have no safe place to exercise unleashed or meet and socialize, as all parks require them to be leashed at all times. In addition, Hot Springs has a large percentage of elder Veterans and disabled dog lovers with nowhere to take them. Travelers through town will welcome a safe haven for their dogs; the park would also serve residents of the wider Fall River County. The Park is ideally situated close to Fall River and is an amenity sought by potential new residents and businesses.
How this community would use a Bark for Your Park™ grant:
Engraved benches (6), signage, 2 – 4 doggie waste stations, shade tarps, ground cover, and handicap/wheelchair accessible surfacing for a portion of each area (small dog section and large / all dog section) along with related supplies are pending funds. Vinyl coated chain link fencing must be installed, which involves potential equipment rental for post holes, cement, and stretching/securing the fencing. This will be done by volunteers, guided by a professional fencing installer (compensated), for safety purposes. Once the Park is open, community obedience training and agility classes are planned. Grant funds would open the Park in a more complete and safety-enhanced status, as opposed to prolonged waiting periods for features such as handicap-accessible ground cover purchase/installation and benches.
Additional Photos:

Get Email Updates
Subscribe to the latest news, promotions, & more from PetSafe® brand.
Sign up today for the latest news, promotions, and more from PetSafe® brand.